Property Details
0.43 Acre Lot in City Limits For Sale in Pine County MN
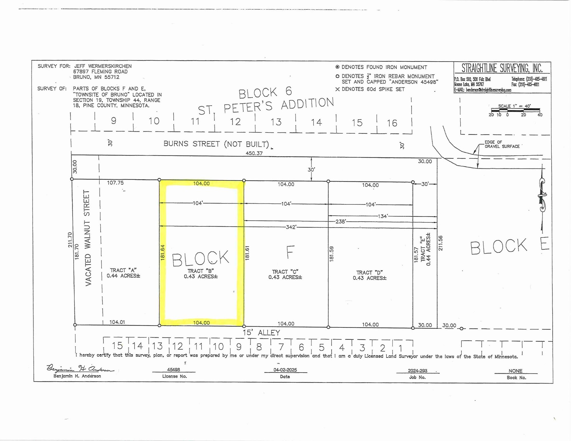
Great lot on quiet end of town. Close to the Nemadji State Forest. Lot is ready to build house or garage or just keep as an investment. Driveway approach is in.
Directions to TBD-Lot B Burns St, Bruno, MN 55712
- Go West off of 23 & Main Street to 1st right; go 1 block and take a left on Burns Street.
- Click HERE for a map to the lot of land for sale located at TBD-Lot B Burns St
Additional Information
- Acreage: 0.43
- Finished Sq Ft: n/a
- School District: East Central #2580
- 2025 Taxes: $100
- Address: TBD-Lot B Burns St, Bruno, MN 55712
- Listing Agent: Tom Jensen 218-380-4868
About Bruno, MN
Bruno is a small town in east-central Minnesota, in Pine County. It’s located along State Hwy 23 just 10 minutes from I-35 and close to the Nemadji State Forest. Bruno is home to Bear’s Den, a bar/grill/convenience store located right on Main Street, and is serviced by the East Central School District.
For more information, contact Tom Jensen, United Country Real Estate
For more information on this building site for sale in Bruno, Minnesota, contact Tom Jensen with United Country Real Estate: Minnesota Properties at 218-380-4868, or via email. Find Tom on Facebook!
What is My Property Worth?
Curious what your home, cabin, waterfront property, or land is worth? Click HERE to find out!
*****
Find More Listings Offered By
United Country Real Estate Minnesota Properties HERE
Twin Cities MLS# 6746702 | Pine County, Minnesota
Property Features
- 0.43 acre lot of land for sale
- land in city limits for sale
- building site for sale
- driveway approach
- School District 2580
- Bruno, Minnesota
- Pine County, MN
- Land for Sale
- Call Tom (320) 245-2502
